Otras Características
Otras Características

Propiedades

Descripción

Descripción: Casa de época, de categoría, desarrollada en dos plantas con una excelente distribución.
En planta baja dispone de: hall de recepción, living-comedor con ventanas al frente, cocina con espacio para comedor diario, lavadero/dependencia y un baño. Además, cuenta con un patio que contiene la escalera exterior que nos conduce directamente a una amplia terraza.
Al acceder a la planta alta, en el sector íntimo, se destaca la escalera por su comodidad, diseño y excelente pisada. La propiedad cuenta con tres dormitorios amplios, con placares y buena iluminación, siendo el principal de mayores dimensiones. Además, dispone de un espacio tipo comodín que puede funcionar como vestidor, oficina, escritorio, playroom u otros usos. El baño completo cuenta con bañera y ventilación al exterior.
Servicios: Cuenta con servicios de luz y gas en funcionamiento.
Doble terreno – excelente oportunidad:
Opción 1: Se puede vender la casa junto con el terreno lindero, que actualmente funciona como jardín y cuenta con un quincho semicubierto con parrilla y espacio para estacionar dos autos.
Opción 2: Se evalúa la posibilidad de vender la casa y el terreno por separado, permitiendo acceder a la vivienda a un valor más económico o bien construir desde cero en el terreno libre.
Opción 3: Unificando ambos terrenos y demoliendo lo construido, se podría desarrollar un edificio de planta baja + 8 pisos, con casi 1.200 m² totales, aptos para viviendas o uso comercial.
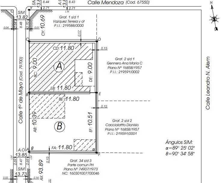
Superficies (según último plano de mensura de diciembre de 2024):
Lote A: 9 m de frente x 11,80 m de fondo = 106,20 m² de terreno, sobre el cual se desarrolla la casa de 179,13 m² construidos.
Lote B: 10,39 m de frente x 11,80 m de fondo = 123,31 m² de terreno, con 39 m² totales semicubiertos.
Unificado: 228,80 m² totales de terreno con 218 m² construidos.
En caso de venta por separado, la casa sería apta crédito hipotecario.
Cocheras: Espacio semicubierto para dos autos en el terreno B.
Ubicación: En pleno Barrio Martín, cercano a:
– Monumento a la Bandera (a 4 cuadras)
– Parque Urquiza (a 6 cuadras)
– Hospital Provincial (a 2 cuadras)
– Espacio Kinder (jardín de infantes, a 50 metros)
– Teatro El Círculo (a 3 cuadras)
– Colegio La Salle (a 150 metros)
– Facultad de Ciencias Exactas (Ingeniería) y Politécnico (a 7 cuadras)

Zona con cercanía a locales comerciales, oferta gastronómica, oficinas, veterinarias, gimnasios, consultorios e institutos.

Para ver la ubicación de la propiedad, hace click acá.
Si necesitas vender una propiedad, conocé como trabajamos haciendo click acá.

Visión General

  • ID 41137
  • Tipo
  • Dormitorios 3
  • Baños 2
  • Garages 2
  • Dimensión 218 m2
  • Año de Construcción 100 años

Detalles

  • ID Propiedad 41137
  • Precio u$s 380.000
  • Tipo Propiedad
  • Tipo Operación
  • Ambientes 5
  • Dormitorios 3
  • Baños 2
  • Año de Construcción 100 años
  • Dimensión 218 m2
  • Garages 2
  • Zonificación Barrio Martin
  • Condición A refaccionar
  • Orientación Este
  • Sup. Cubierta 218 m2
  • Terreno 220 m2

Propiedades que pueden interesarte

Comparar

Casa en 1 de Mayo al 1200

Miguel Woelflin

Coordinador de Ventas